واصل جهاز حماية وتنمية البحيرات والثروة السمكية أعمال الحصاد بمزرعة المنزلة السمكية، تنفيذًا لتوجيهات الحسين فرحات، المدير التنفيذي للجهاز، في إطار خطة شاملة لتعظيم الاستفادة من الأصول الإنتاجية ورفع كفاءة التشغيل في المزارع التابعة للجهاز.
إنتاج 21 طنًا من الأسماك..استمرار الحصاد بمزرعة المنزلة السمكية
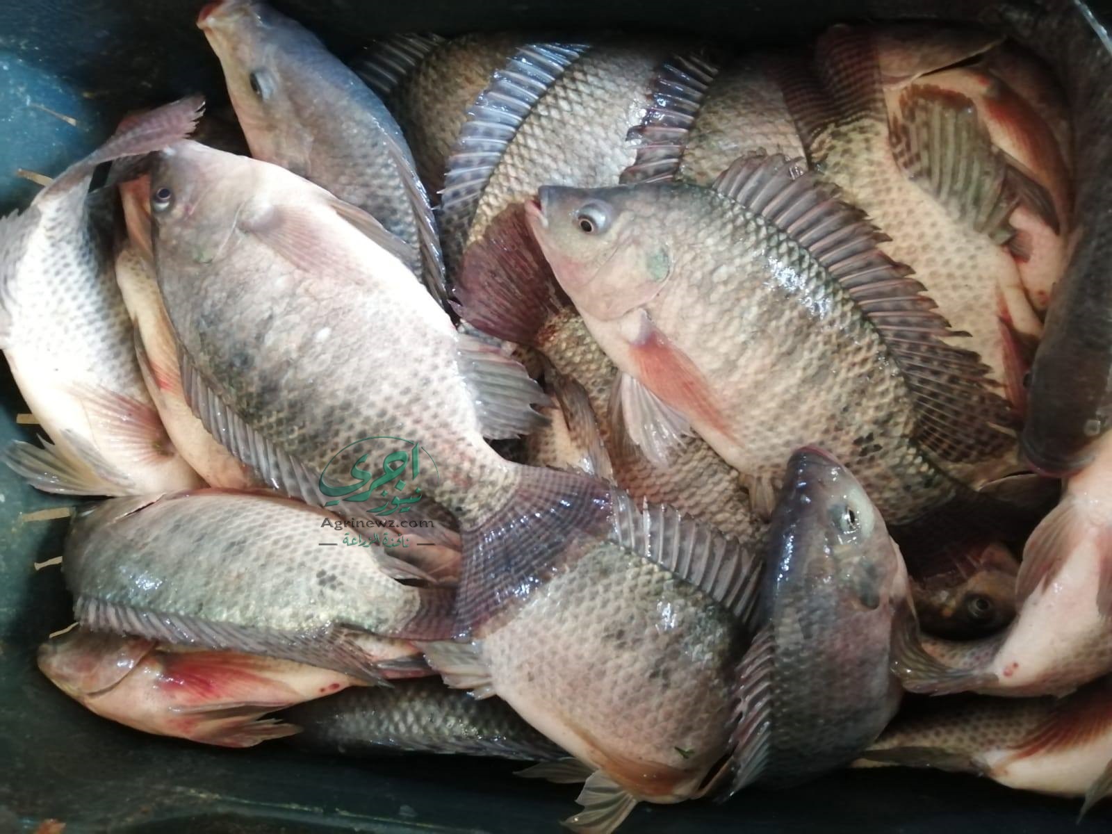
أسفرت أعمال الحصاد عن إنتاج 21 طنًا من الأسماك من حوض تبلغ مساحته 5 أفدنة، تم تقسيمه إلى جزئين لتحقيق أعلى كفاءة تشغيلية:
الجزء الأول: بمساحة 4.5 فدان، أنتج 17 طنًا من الأسماك المتنوعة، وهو مؤشر واضح على تحسن معدلات النمو وكفاءة برامج التغذية والرعاية.
الجزء الثاني: خصص لتطبيق نظام الاستزراع السمكي عالي الكثافة (IPRS) على مساحة نصف فدان، وحقق إنتاجًا بلغ 4 أطنان من أسماك البلطي، وهو أول إنتاج فعلي لهذه الوحدة داخل المزرعة.
نظام الاستزراع السمكي عالي الكثافة (IPRS)
يعتمد نظام (IPRS) على إدارة دقيقة لجودة المياه، واستخدام تقنيات تهوية متطورة تزيد الإنتاج في مساحات محدودة مع الحفاظ على معدلات نمو مرتفعة وجودة عالية.
ومن المخطط تطوير الوحدة المستقبلية باستخدام الطاقة الشمسية المتجددة لتقليل التكاليف ورفع كفاءة الأداء.


تأكيد على التوسع وزيادة الإنتاج
أكد اللواء أ.ح/ الحسين فرحات أن النتائج المحققة تعكس نجاح خطة الجهاز في التوسع الرأسي وزيادة الإنتاج من وحدة المساحة، مشيرًا إلى أن المرحلة المقبلة ستشهد دعمًا أكبر لتطبيق الأنظمة الحديثة بالمزارع، بما يسهم في تعزيز الأمن الغذائي وتحقيق الاستدامة.
مؤشرات الإنتاج والتحسن الفني والإداري
أوضح الدكتور محمد إبراهيم نوفل، مدير عام الإدارة العامة للمزارع بالجهاز، أن المؤشرات الحالية تعكس تحسنًا ملحوظًا في الأداء الفني والإداري نتيجة المتابعة الدقيقة وتطبيق برامج تشغيل متكاملة.
كما أشار المهندس سعود فياض، مدير مزرعة المنزلة السمكية، إلى أن النتائج جاءت نتيجة العمل الجماعي والانضباط الفني، مؤكدًا استمرار تطوير البنية التشغيلية للمزرعة خلال الفترة المقبلة.

دور مزرعة المنزلة السمكية في دعم الإنتاج المحلي
تقع المزرعة في مركز المنزلة بمحافظة الدقهلية، وتعد من المزارع الإنتاجية البارزة التابعة للجهاز، حيث تسهم في دعم الإنتاج السمكي المحلي، توفير فرص عمل، وتحقيق أهداف التنمية المستدامة للدولة.
تكريم العاملين ومواصلة العمل
اختتمت أعمال الحصاد بتوجيه الشكر للعاملين بالمزرعة تقديرًا لجهودهم المتميزة، مع التأكيد على مواصلة العمل لتعزيز النتائج الإيجابية خلال الموسم الحالي.







